
Briggs Ave Garden Fall Festival and Plant Sale Saturday September 13th
You’re Invited to the 2025 Briggs Ave Community Garden Annual Fall Festival & Plant Sale! 🌿 Join us for a fun-filled …

You’re Invited to the 2025 Briggs Ave Community Garden Annual Fall Festival & Plant Sale! 🌿 Join us for a fun-filled …

Extension professionals, Extension advisory members, and community partners are invited to attend the National Urban Extension Leaders (NUEL) Southern …

The workshop will help participants learn how to use our Mobile Poultry Processing Unit to process your poultry on …

NOTICE OF EXPORT PROMOTION REFERENDUM TO: North Carolina Flue-Cured Tobacco Farmers NOTICE is hereby given that a check-off referendum will be …

Durham County Cooperative Extension is hosting a USDA Resource Outreach regional Meeting on January 28th led by the KKAC …

Save the Date for our Report to the Community Event! Join us for a special event where we will share …

If you lose power for more than a few hours, you may be worried about the safety or quality …

Join us for a special event where we will share our 2023 Report to the Community! This year we …

Register Today! Sharing our Stories, Connecting Communities 2022 Community and Economic Development Statewide Conference Co-Hosted by: NCACDEP and NC State CRD May 17 – …
Our Durham County Office is Celebrating the Juneteenth Holiday To learn more about Durham County’s recognition, read the County press …
Our Welcome Baby Drive-Up Diaper Pick-Up for families will be delayed due to the Durham County weather-related late opening. …

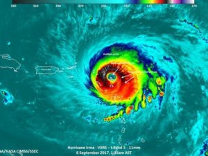
The Durham County office of N.C. Cooperative Extension suggests that all residents stay alert and informed about the latest …